huracán Melissa

Huracán Melissa azota el Caribe y avanza hacia Cuba con fuerza devastadora

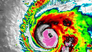
El huracán Melissa, actualmente clasificado como un huracán de categoría 4, continúa su avance devastador por el Caribe, afectando varias islas y acercándose rápidamente a Cuba. Según el último informe del Centro Nacional de Huracanes (NHC), el fenómeno meteorológico se encuentra a unas 150 millas al oeste de La Habana, con vientos sostenidos que superan […]

Huracán Melissa deja daños millonarios en Jamaica

Kingston, Jamaica, 28 de octubre de 2025. — El huracán Melissa dejó a su paso daños millonarios en Jamaica tras su entrada en la isla, causando destrucción en infraestructuras, desbordamientos de ríos y un aumento significativo de los daños materiales. El fenómeno meteorológico, de categoría 3, tocó tierra en la madrugada del lunes 27 de […]

Huracán Melissa se intensifica a categoría 4 y amenaza el Caribe

Caribe, 26 de octubre de 2025. — El huracán Melissa se intensificó este domingo a categoría 4 en la escala de Saffir-Simpson, generando alertas en varios países del Caribe, incluyendo Jamaica, Haití, República Dominicana y Cuba. El Centro Nacional de Huracanes (NHC) de Estados Unidos indicó que Melissa presenta vientos sostenidos de hasta 215 km/h, […]